Lote en Venta en Lujan de Cuyo, Mendoza.

Lujan de Cuyo Mendoza

Mayor Drummond

BARRIO PRIVADO LA QUEBRADA

773m2

Descripción

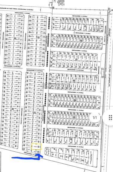
Luján de Cuyo – Araoz | Barrio Privado La Quebrada

Lote Central J19 – 773 m²

Ubicado en una de las zonas más buscadas de Luján de Cuyo, en Araoz, dentro del barrio privado La Quebrada. Un entorno tranquilo, en crecimiento y con excelente proyección, ideal para quienes buscan calidad de vida o una inversión sólida.

El lote se encuentra en ubicación central (J19), lo que le da un plus de privacidad y equilibrio dentro del barrio.

Con 773 m², es uno de los terrenos más grandes disponibles, ofreciendo espacio de sobra para diseñar una casa cómoda, funcional y con amplios espacios verdes.

Cuenta con todos los servicios, listo para construir.

Superficie: 773 m²
Ubicación: Central – Lote J19
Servicios: Todos
Precio: USD 45.000


Datos de la propiedad

  • ID#
    2414-1014
  • Tipo de construcción
    Lote
  • Condición
    Venta
  • Superficie Total m2
    773
  • Luz Eléctrica
  • Agua
  • Gas
  • Cloacas
  • Barrio Privado
  • Tiene Expensas
  • Valor de Expensas
    50000

Ubicación

Barrio privado La Quebrada

Avisos similares