Casa en Venta en Lujan de Cuyo, Mendoza.

Lujan de Cuyo Mendoza

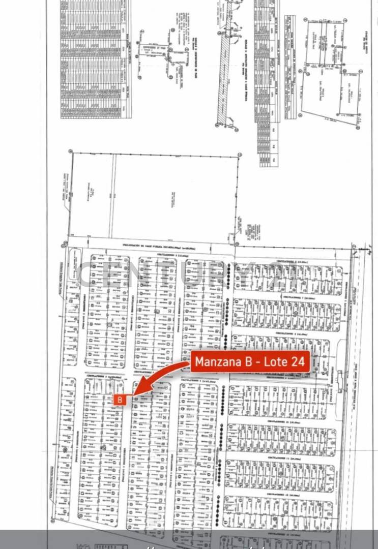
ARAOZ RUTA 60, 2399 MB L24, MAYOR DRUMMOND, MENDOZA, ARGENTINA

2
3
128m2
300m2

Descripción

CASA EN POZO | DISEÑO, CONFORT Y PROYECCIÓN EN BARRIO PRIVADO LA QUEBRADA
Mayor Drummond – Luján de Cuyo
Century 21 López presenta una propuesta pensada para quienes desean construir hoy el hogar que van a habitar mañana, combinando diseño contemporáneo, funcionalidad y una ubicación estratégica dentro de un entorno privado y en pleno crecimiento.
Ubicada en Barrio Privado La Quebrada, sobre Ruta 60 / Calle Araoz 2399, Manzana B – Lote 24.

A 10 minutos del centro de Luján de Cuyo o de Maipú.

La urbanización de La Quebrada pondera la calma del lugar, calidad de vida y seguridad; por eso la mayoría de los 600 lotes están situados en manzanas centrales o «islas», casi no existen lotes colindantes al cierre perimetral del barrio, se encuentra mayormente rodeado por otros barrios privados con sus respectivos sistemas de vigilancia.

Esta casa en pozo se desarrolla íntegramente en una sola planta, privilegiando la comodidad, la fluidez de los espacios y una relación armónica con el exterior.

Implantada sobre un terreno de 300 m², la vivienda contará con 128,36 m² cubiertos, cuidadosamente proyectados para ofrecer ambientes amplios, luminosos y funcionales.
El corazón de la casa estará dado por un living comedor integrado, conectado a la cocina, creando un espacio cálido y moderno, ideal para compartir encuentros cotidianos y momentos especiales.

El área privada ofrece:
Tres dormitorios, con una suite principal con vestidor.
Dos baños completos, ambos con antebaño, aportando practicidad y diseño.

Completan la propuesta:
Cochera para dos vehículos
Patio y jardín, con espacio verde proyectado para disfrutar del aire libre y la tranquilidad del entorno
Servicios de agua corriente, luz y gas natural.

Una oportunidad única para invertir en un proyecto con visión de futuro, en un barrio privado que conjuga seguridad, accesibilidad y calidad de vida, a pocos minutos de los principales puntos de Luján de Cuyo.
Un hogar que empieza a construirse hoy, pensado para disfrutarse toda la vida.
Consultanos para conocer plazos, avance de obra y condiciones.
Century 21 López – Donde los proyectos se transforman en hogares.


Datos de la propiedad

  • ID#
    147346-9275
  • Tipo de construcción
    Casa
  • Condición
    Venta
  • Superficie Total m2
    300
  • Dormitorios
    3
  • Cochera
    Garage/Cochera
  • Superficie Cubierta m2
    128
  • Baños
    2
  • Piscina
    No
  • Calefacción Central
    No
  • Plantas
    0 Plantas
  • Teléfono
    No
  • Antigüedad
    2026 Años
  • Internet
    No
  • Cable TV
    No
  • Aire Acondicionado
    No
  • Amoblado/a
    No
  • Tiene Expensas
    No
  • Cantidad de Ambientes
    5
  • Estado de Conservación
    Muy Bueno

Ubicación

Araoz Ruta 60, 2399 MB L24, Mayor Drummond, Mendoza, Argentina

Avisos similares